Обяви За нас Контакти
Продава ПАРЦЕЛ
област София, гр. Елин Пелин
210 000 €
410 724.30 лв.

(101 €, 197.54 лв./m2)
Не се начислява ДДС
История на цената
Коригирана в 12:35 на 14 април, 2026 год.
Обявата е посетена 113 пъти.
Площ:
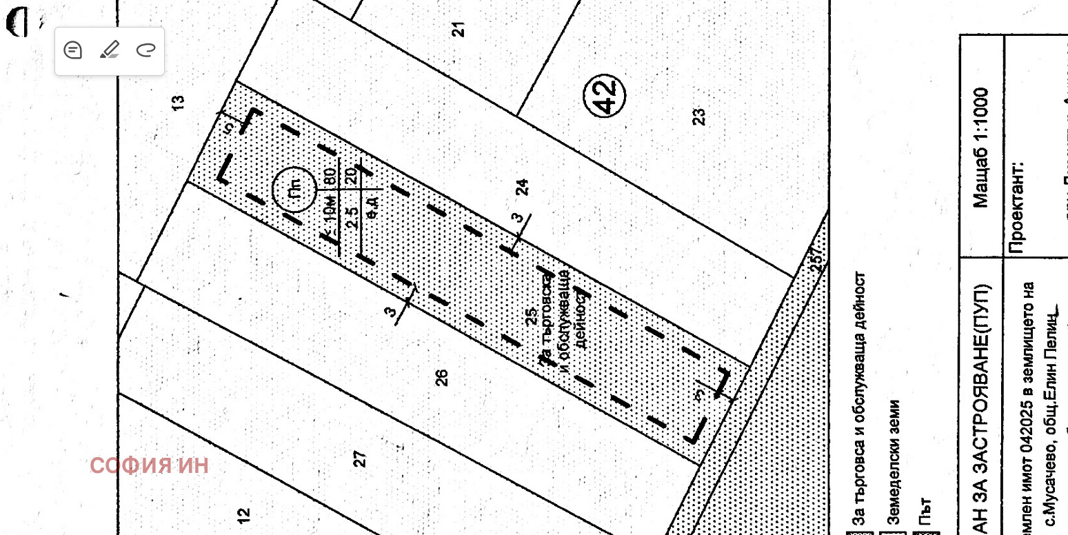
2083 m2
Регулация:
ДА
Ток:
НЕ
Вода:
НЕ

Описание на имота:


Sofia In /www.sofiain.com/ представя на Вашето внимание:

УПИ с площ от 2083 кв.м. и лице 20 м. на главен асфалтов път в началото на гр. Елин Пелин, до съществуващи и работещи складове, на 75 м. от бензиностанция Лукойл.

Парцела е подходящ за хале, магазин, склад, автомивка, автоморга и всякакъв друг вид обслужваща търговска дейност.
При интерес от Ваша страна можете да се свържете с отговорния консултант за подробна информация относно начина на плащане и финансиране на покупката.

Ние Ви осигуряваме безплатно съдействие за банков кредит от нашите банки-партньори при преференциални условия.

Имате възможност да резервирате избрания имот с депозит, след което той се сваля от продажба и се прекратяват огледите с други купувачи. Започва подготовка на необходимите документи за сключване на предварителен и окончателен договор.

За всички наши клиенти осигуряваме безплатна юридическа подкрепа през целия процес на покупката.

Разгледайте тази и много други актуални оферти на: www.sofiain.com
реф. 27756

ОЧАКВАМЕ ВИ!
Особености
За пром.строителство
За контакт:
0882679633
Брокер:
Цветанка Милотинова
0882679633
Офис: 1404, гр. София, ул. Нишава 153, ет. 1
Още оферти от брокера: Продава | Дава под наем | Купува | Наема
Агенция:
СОФИЯ ИН
0882654100
СОФИЯ ИН logo
Медал за прослужено време
В imot.bg от 2020 г.
sofiain.imot.bg
Адрес:
област София, гр. София, ул. 'Нишава' 153, ет. 1
http://www.sofiain.com
ИЗПРАТИ ЗАПИТВАНЕ
ИЗПРАТИ ЗАПИТВАНЕТО

Продава ПАРЦЕЛ
област София, гр. Елин Пелин
Обява: 1r177504956952613

210 000 €
410 724.30 лв.
История на цената
(101 €, 197.54 лв./m2)

Не се начислява ДДС
ЗАПАЗИ ОБЯВАТА

Местоположение: област София, гр. Елин Пелин